Skip to content

Tim O'Hara

Senior Curator of Marine Invertebrates, Museums Victoria

Big Ideas

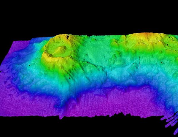
We discovered an undersea volcano that looks like the Eye of Sauron

A deep sea mapping expedition has found amazing new geological formations near Christmas Island that will reveal new scientific treasures.

We discovered an undersea volcano that looks like the Eye of Sauron